I promise this will be my last word on the subject. I have been back up to the park again today specifically to scrutinise these two varieties minutely. A dog walker passed by, couldn’t contain her curiosity and asked me what I was doing. I bet she wished she’d never asked.
I have homed in on a few new characteristics that may be useful in distinguishing these two varieties and I have looked more closely at leaf size and shape, which I referred to before. In the first of the following two pictures of ‘Setsugekka’ there are several leaves where the widest point of the leaf is markedly closer to the basal end, though it is less noticeable in the second. The leaf tip is acute, the base rounded or almost so. Another thing I noticed was that the leaves stick out sideways from the stem almost at right angles, or more precisely, the petiole leaves the stem at about 45° then bends at the base of the lamina, which then sticks out nearly at right angles.
By contrast, in these next images of ‘Kenkyô’, the leaf base is never rounded and the broadest part of the leaf often goes on longer, narrowing more abruptly to the apex. The leaves are almost forward along the shoot, at 45° or less in most cases. Finally, though the difference is not great, ‘Kenkyô’ is less glossy than ‘Setsugekka’.
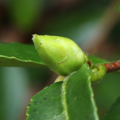
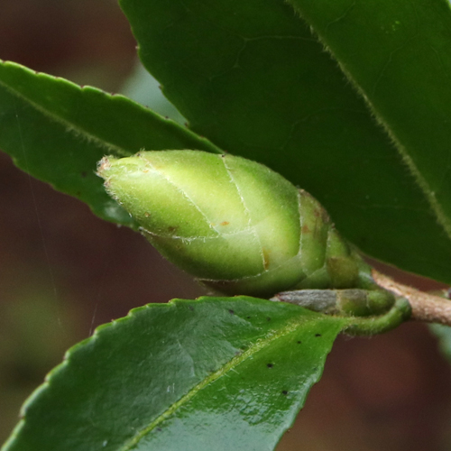
Another thing I wanted to look at was the flower buds. Kenkyô has buds that are usually wholly green, becoming green and white as the petals begin to show. The bud scales are green in the centre, paler towards the margins. Only in around one bud in ten did I see any pink pigment on the emerging petals. Silky hairs were sometimes quite evident, other times less so.
The two plants of ‘Setsugekka’ are growing near each other but 3C-027 is at the front of the planting in full sun, 3C-028 is further back and in the shade of a conifer. It also has fewer buds because it is recovering from extensive damage from a falling tree. I have labelled the pictures to distinguish them. In almost every case the bud scales are pigmented reddish-brown and in the majority of cases when the petals start to emerge they have pink pigmentation on them. It is perhaps worth noting that there is no absolute dividing line between bud scales and petals with some intermediates.
I’m unsure how useful a piece of information it is but for Kenkyô and 3C-028 ‘Setsugekka’ (the vigorous one) I picked out ten “typical” leaves and measured them. Those of ‘Kenkyô’ averaged 34.8mm wide, 74.6mm long inc. petiole, with average petiole length 6.2mm. 3C-028 ‘Setsugekka’ came out at 32mm wide by 70.8mm long with an average petiole of 4.4mm. “Typical” is a subjective term; I avoided the smaller leaves produced at the beginning and end of growth spurts as well as any unusually large leaves.
Where then does this get us. You have an unknown plant. On the basis of the flowers it might be possible to narrow the possibilities to a handful of possible varieties. One or two of them could perhaps be quickly dismissed on a single characteristic, for example having leaves that are far too big or too small. It would then be practical to compare the specimen on all of characteristics I have mentioned to hopefully get a definite match. That would tell you that your plant is the same as mine.
What it doesn’t necessarily tell you is whether you now have an accurate identification for your plant because it is far from certain that my plant, on which I have based the description, is correctly identified. The reasons for plants being wrongly named are legion and there is little mileage in trying to apportion blame. It does seem to me though, that we now have the technology to put together detailed descriptions backed up with plenty of photographs and to put that information into the public domain. It then requires interested parties to start a dialogue around the areas of disagreement and see whether they can be resolved.
For starters then, are the two plants in the collection actually ‘Setsugekka’ and ‘Kenkyô’? Are they identified the correct way round? What else might they be? I am open to the possibility of either or both of the names being wrong and would be happy to be convinced of an alternative identity. I wouldn’t be happy to be told that they’re something else with no explanation or evidence to back it up. I’d be interested to hear that what appears to be the same plant as either of them is being grown under a different name, even if the grower is no more certain their name is right than I am.





























Hello Jim
Would it be useful to send images of our Kenkyo?
best
Jane Anderson
________________________________
LikeLike
It would be very useful. If you have images that show any of the other characteristics I’ve mentioned, in addition to the blooms, that would be even better. I’m very keen to try to find out how consistent they are between plants growing in different places.
LikeLike